Previous | Next

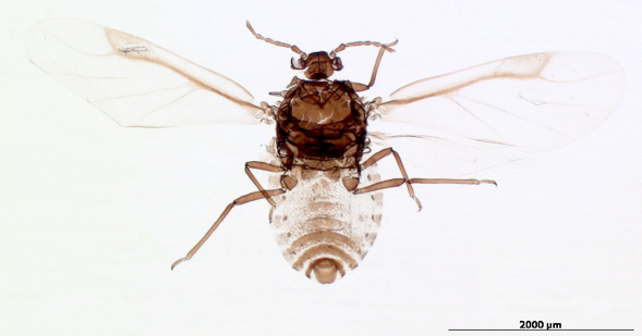
Smynthurodes betae

is a cosmopolitan aphid that feeds on a variety of plant species.

Common names. Bean root aphid.

Distribution. This aphid is globally distributed, located in all but the coldest terrestrial habitats.

Host associations. It has a relatively broad host range, having been recorded from species of at least 35 plant families.

Economic importance. It is particularly important on pistachio, potato and tomato, beets, crucifers, but also attacks other crops such as alfalfa, beans, and cotton. It has not been implicated in the transmission of any plant virus.

See also. Taxonomy at Aphid Species File. Aphids on the World's Plants. Literature references.

References

Blackman, R.L. and V.F. Eastop. 1994. Aphids on the World’s Trees. CAB International with The Natural History Museum, London. viii + 987 pages, 135 figures, 16 plates.

Blackman, R.L. and V.F. Eastop. 2000. Aphids on the World’s Crops, Second Edition. John Wiley & Sons with the Natural History Museum, London. x + 466 pages, 58 figures, 51 plates.

Blackman, R.L. and V.F. Eastop. 2006. Aphids on the World’s Herbaceous Plants and Shrubs. Volume 2 The Aphids. John Wiley & Sons with the Natural History Museum, London. viii + pages 1025-1439.

Holman, J. 2009. Host Plant Catalog of Aphids, Palaearctic Region. Springer Science and Business Media B.V. 1216 pp.