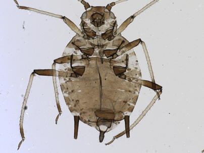
Dorsal abdominal sclerotization

Patterns of sclerites on the back of the aphid

Ventral abdominal sclerotization is generally restricted to the genital plate and anal plate. All other abdominal sclerites are usually dorsal, whether they be marginal, spinal, or entirely covering the aphid's dorsum.