Previous | Next

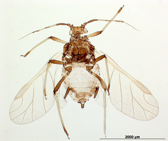
Toxoptera citricidus

is a species ranging from tropical to warm temperate climates and attacking mostly citrus.

Common names. Brown citrus aphid, Tropical citrus aphid.

Distribution. This aphid is globally distributed from tropical to warm temperate climates of the world.

Host associations. It has a relatively broad host range, having been recorded from species of nearly 30 plant families.

Economic importance. It is particularly important on Citrus, but it also can attack other crops such as apple, corn, and sugarcane, and a variety of ornamentals. It has been implicated in the transmission of nearly 10 plant viruses.

See also. Taxonomy at Aphid Species File. Aphids on the World's Plants. Literature references.

References

Blackman, R.L. and V.F. Eastop. 1994. Aphids on the World’s Trees. CAB International with The Natural History Museum, London. viii + 987 pages, 135 figures, 16 plates.

Blackman, R.L. and V.F. Eastop. 2000. Aphids on the World’s Crops, Second Edition. John Wiley & Sons with the Natural History Museum, London. x + 466 pages, 58 figures, 51 plates.

Blackman, R.L. and V.F. Eastop. 2006. Aphids on the World’s Herbaceous Plants and Shrubs. Volume 2 The Aphids. John Wiley & Sons with the Natural History Museum, London. viii + pages 1025-1439.

Chan, C.K., A.R. Forbes, and D.A. Raworth. 1991. Aphid-transmitted viruses and their vectors of the world. Agriculture Canada Technical Bulletin 1991-3E. 1-216 pp.

Holman, J. 2009. Host Plant Catalog of Aphids, Palaearctic Region. Springer Science and Business Media B.V. 1216 pp.

Voegtlin, D., W. Villalobos, M.V. Sanchez, G.Saborio, and C. Rivera. A Guide to the Winged Aphids of Costa Rica. 2003. International Journal of Tropical Biology and Conservation 51(Suppl. 2):xi + 228 pp.