Body

Head, thorax, and abdomen

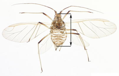
The aphid body consists of the head, three thoracic segments, and eight abdominal segments. The three thoracic segments are called the prothorax, mesothorax, and metathorax and each bears a pair of legs. In the case of alatae, the two hind thoracic segments each also bear a pair of wings (forewings and hindwings).